Home / আবহাওয়া / ফণীর আঘাতে লণ্ডভণ্ড ওড়িশা : ধেয়ে আসছে বাংলাদেশে
Fani+mbd-5

ফণীর আঘাতে লণ্ডভণ্ড ওড়িশা : ধেয়ে আসছে বাংলাদেশে

মাস্টারি বিডি । শিমুল আহসান
প্রতিবেদন । ০৩ মে ২০১৯ । ২০ বৈশাখ ১৪২৬

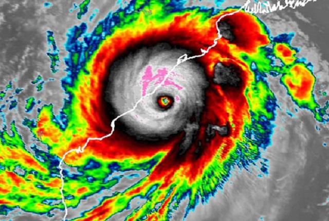
ভয়ঙ্কর ঘূর্ণিঝড় ফণী আজ শুক্রবার ভারতের পূর্বাঞ্চলে আঘাত হেনেছে। এতে বহু গাছ-পালা উপড়ে পড়েছে, দোকান-পাট, ঘরবাড়ি উড়ে গেছে এবং বিদ্যুৎ ব্যবস্থা বিচ্ছিন্ন হয়ে পড়েছে। এটি সাম্প্রতিক বছরগুলোতে ভারত মহাসাগরে সৃষ্ট সবচেয়ে শক্তিশালী ঝড়গুলোর অন্যতম। এ খবর দিয়েছে এএফপি।
দেশটির আবহাওয়া সংস্থা জানায়, ঝড়টি ভারতের পূর্ব উপকূলের উপর দিয়ে ঘণ্টায় সর্বোচ্চ ১৮০ কিলোমিটার বেগে বয়ে যাচ্ছে। এতে বড় ধরনের জলোচ্ছাসের হুমকি থাকায়
নিম্নাঞ্চলগুলোতে বন্যা দেখা দিতে পারে।
বিগত কয়েকদিনে ওড়িশা কর্তৃপক্ষ ১০ লাখের বেশি মানুষকে নিরাপদ স্থানে সরিয়ে নিয়েছে। পাঁচ ফুটের বেশি উচ্চতার জলোচ্ছাসের আশঙ্কা থাকায় তাদেরকে সরিয়ে নেয়া হয়।
প্রসঙ্গত ১৯৯৯ সালে সেখানে এক ঘূর্ণিঝড়ের আঘাতে ১০ হাজারের বেশি লোক প্রাণ হারায়।
এছাড়া এ ঝড়ের কবল থেকে রেহাই পেতে পশ্চিমবঙ্গ রাজ্যের লাখ লাখ লোককে নিরাপদ স্থানে চলে যাওয়ার নির্দেশ দেয়া হয়েছে।
ভারতের জাতীয় দুর্যোগ মোকাবেলা বাহিনী (এনডিআরএফ) অন্ধ্র প্রদেশ রাজ্যের উপকূল বরাবরের গাছ-পালা উপড়ে পড়ার বিভিন্ন ছবি প্রকাশ করেছে।
এনডিআরএফের বিভিন্ন দল উপড়ে পড়া গাছগুলো সরিয়ে ফেলার চেষ্টা করছে।
ফণী পশ্চিমবঙ্গ রাজ্যের উত্তরপূর্ব দিক দিয়ে বয়ে বাংলাদেশের দিকে আসবে বলে ধারণা করা হচ্ছে।

Fani+mbd-3

এদিকে আবহাওয়া অফিস থেকে জানানো হয়েছে, আজ মধ্যরাত নাগাদ ফণী খুলনা ও তৎসংলগ্ন এলাকায় পৌঁছাতে পারে।
সাইক্লোন ফণী আজ শুক্রবার মধ্যরাত নাগাদ খুলনা ও তৎসংলগ্ন বাংলাদেশের দক্ষিণ-পশ্চিমাঞ্চল এলাকায় পৌঁছাতে পারে। খুলনা ও তৎসংলগ্ন বাংলাদেশের উপকূলীয় এলাকায় আজ সকাল থেকে ফণীর অগ্রবর্তী অংশের প্রভাব শুরু হয়েছে।
আবহাওয়া অধিদপ্তরের সর্বশেষ বুলেটিনে (৩৬ নন্বর বুলেটিন) এ কথা জানানো হয়।
এতে বলা হয় ,উত্তর-পশ্চিম বঙ্গোপসাগর ও তৎসংলগ্ন পশ্চিমমধ্য বঙ্গোপসাগর এলাকায় অবস্থানরত প্রবল ঘূর্ণিঝড় ফণী ভারতের উড়িষ্যা উপকূল অতিক্রম শুরু করেছে।
ঘূর্ণিঝড় কেন্দ্রের ৭৪ কিলোমিটারের মধ্যে বাতাসের একটানা সর্বোচ্চ গতিবেগ ঘন্টায় ১৮০ কিলোমিটার, যা দমকা হাওয়া আকারে ২০০ কিলোমিটারে বৃদ্ধি পাচ্ছে।
ফণী আজ সকাল ৯টায় মোংলা সমুদ্র বন্দর থেকে ৫৪৫ কিলোমিটার দক্ষিণ-পশ্চিমে, পায়রা সমুদ্র বন্দর থেকে ৫৮০ কিলোমিটার দক্ষিণ-পশ্চিমে,কক্সবাজার সমুদ্র বন্দর থেকে ৭৩০ পশ্চিম-দক্ষিণপশ্চিমে এবং চট্টগ্রাম সমুদ্র বন্দর থেকে ৭৪০ পশ্চিম-দক্ষিণপশ্চিমে অবস্থান করছিল।
মোংলা ও পায়রা সমুদ্র বন্দরকে ৭ নম্বর বিপদ সংকেত দেখিয়ে যেতে বলা হয়েছে। উপকূলীয় জেলা ভোলা, বরগুনা, পটুয়াখালী,বরিশাল, পিরোজপুর, ঝালকাঠি, বাগেরহাট, খুলনা, সাতক্ষীরা এবং অদূরবর্তী দ্বীপ ও চরসমূহ ৭ নম্বর বিপদ সংকেতের আওতায় থাকবে।
চট্টগ্রাম সমুদ্র বন্দরকে ৬ নম্বর বিপদ সংকেত দেখিয়ে যেতে বলা হয়েছে। উপকূলীয় জেলা চট্টগ্রাম,নোয়াখালী,লক্ষ্মীপুর,ফেনী,চাঁদপুর এবং অদূরবর্তী দ্বীপ ও চরসমূহ ৬ নন্বর বিপদ সংকেতের আওতায় থাকবে।
কক্সবাজার সমুদ্র বন্দরকে ৪ নন্বর স্থানীয় হুশিয়ারী সংকেত দেখিয়ে যেতে বলা হয়।

Fani+mbd-4

ভারতের বর্তমান পত্রিকা সংবাদ পরিবেশন করেছে- ওড়িশা উপকূলে আছড়ে পড়েছে ফণী।
শক্তি বাড়িয়ে ভয়ঙ্কর রূপ ধারণ করছে ফণী। কিছুক্ষণ আগেই ওড়িশা উপকূলে আছড়ে পড়েছে ঘূর্ণিঝড়টি। ঘণ্টায় ১৭৫-২০০ কিমি বেগে ঝড় হচ্ছে বলে জানা গিয়েছে। প্রায় ৩-৪ ঘণ্টা তাণ্ডবলীলা চালাতে পারে এই ঝড়। হাওয়া অফিসের রিপোর্ট অনুযায়ী যে সময় আছড়ে পড়ার কথা ছিল, তার বেশ কিছুক্ষণ আগেই সকাল ৯টা নাগাদ ওড়িশার পুরীর উপকূলবর্তী অঞ্চলে আছড়ে পড়ল ফণী। পুরী এবং গোপালপুরের অবস্থা অত্যন্ত শোচনীয়। সবচেয়ে বেশি ক্ষতিগ্রস্ত হচ্ছে গঞ্জাম ও গজপতি জেলা। ঝড়ের দাপটে পুরীর সমুদ্রে প্রবল জলোচ্ছ্বাস। গোটা এলাকা বিদ্যুৎহীন থাকার পাশাপাশি বন্ধ হয়ে গিয়েছে ইন্টারনেট পরিষেবাও। বিভিন্ন এলাকায় ভেঙে পড়েছে গাছ এবং হোর্ডিং। ঘূর্ণিঝড়ের জেরে ত্রস্ত স্থানীয়রা। জয়েন্ট টাইফুন ওয়ার্নিং সেন্টারের দেওয়া তথ্য অনুযায়ী গত ২০ বছরে এই অঞ্চলের সবচেয়ে ভয়ঙ্কর সামুদ্রিক ঝড়ে পরিণত হয়েছে ফণী। গতকাল দিল্লির মৌসম ভবনের পক্ষ থেকে জানানো হয়েছিল, শুক্রবার সকাল ৮টা থেকে ১২টার মধ্যে ফণী আছড়ে পড়বে পুরী সংলগ্ন গোপালপুরে। এরপর তীব্রতা কমিয়ে তটরেখা ধরে সেটি পশ্চিমবঙ্গে ঢুকে দক্ষিণবঙ্গের ওপর দিয়ে বাংলাদেশের দিকে চলে যেতে পারে। সেই সতর্কবার্তা অনুযায়ী ঘূর্ণীঝড় ফণী পুরীতে আছড়ে পড়ার পর এরাজ্যেও তার প্রভাবে তাণ্ডব শুরু হয়ে গিয়েছে। আর কিছুক্ষণ পরই শক্তি কমিয়ে ফণী পশ্চিমবঙ্গে ঢুকে পড়বে বলে আশঙ্কা করা হচ্ছে। ইতিমধ্যেই দক্ষিণ ২৪ পরগনার নামখানা, মেদিনীপুর উপকূল, দীঘা, শঙ্করপুর, মন্দারমণি সহ বেশ কিছু জায়গায় ঝোড়ো হাওয়া শুরু হয়ে গিয়েছে। মেদিনীপুরের বহু রাস্তায় গাছ ভেঙে পড়ার খবর পাওয়া যাচ্ছে। ভেঙে পড়েছে বেশ কিছু হোর্ডিংও। দীঘায় সকাল থেকেই একনাগাড়ে বৃষ্টি হচ্ছে। ঘূর্ণিঝড়ের দাপটে দক্ষিণবঙ্গে ব্যাপক ক্ষয়ক্ষতির আশঙ্কার কথা আগেই জানিয়েছিল আবহাওয়া দপ্তর। রাজ্য প্রশাসন, রেল, বন্দর সহ বিভিন্ন এজেন্সি ঘূর্ণিঝড়ে ক্ষয়ক্ষতি ও প্রাণহানি আটকানোর জন্য আগাম সতর্কতামূলক ব্যবস্থা নিয়েছে। গতকাল বিষয়টি নিয়ে নবান্নে দুই পর্যায়ে উপকূলরক্ষী, নৌবাহিনী ছাড়াও বিপর্যয় মোকাবিলা দপ্তরের আধিকারিকদের নিয়ে উচ্চ পর্যায়ের বৈঠক করেন মুখ্যসচিব মলয় দে। নবান্নে বিশেষ কন্ট্রোল রুম খোলার পাশাপাশি একগুচ্ছ জরুরি ব্যবস্থা নেওয়ার সিদ্ধান্ত হয়েছে। এরপর আজ সকাল থেকেই পুরো বিষয়ে কড়া নজর রাখছে নবান্ন। সজাগ রয়েছেন মুখ্যমন্ত্রী মমতা বন্দ্যোপাধ্যায়ও। ঘূর্ণিঝড় ফণীর জেরে আজ এবং আগামীকালের সমস্ত নির্বাচনী সভা বাতিল করেছেন তিনি। আজ সকালেই রাজ্যবাসীর কাছে তিনি আবেদন করেছেন, দয়া করে সকলে বাড়িতেই থাকুন। আর কোনওরকম গুজবে কান দেবেন না, গুজব ছড়াবেন না। রাজ্য সরকার আপনাদের পাশে রয়েছে এবং প্রশাসন সর্বদা নজর রাখছে পরিস্থিতির উপর।

About Mastary Sangbad

Mastary Admin

Check Also

13 4 2026 1222

শিশু টিকার অর্থ আত্মসাতের অভিযোগ: ড. ইউনূসের বিরুদ্ধে দুদকে আবেদন

ঢাকা, সোমবার ১৩ এপ্রিল ২০২৬মাসস হাম ও অন্যান্য রোগের শিশুদের টিকা ও সিরিঞ্জ ক্রয়ে অর্থ আত্মসাৎ, …

Leave a Reply

Your email address will not be published.